Aller au contenu
Géoforum est un forum de géologie, minéralogie, paléontologie, volcanologie et, plus généralement, un site dédié aux Sciences de la Terre et au patrimoine géologique. Les discussions s'organisent dans des espaces spécifiques, il existe un forum géologie, un forum minéraux, un forum fossiles, un forum volcans, etc. Une galerie de photos de minéraux ou de roches, de photos de fossiles, ou encore de sites géologiques ou de volcans permet de partager des albums. Il est possible de publier des offres d'emploi de géologue, ou des demandes d'emploi ou stage de géologues. Venez poser vos questions, partager vos connaissances, vivre votre passion !

Quelques-uns des principaux sujets de Géoforum

Vente et achat de minéraux français et cristaux du monde sur Internet.
▲  Vente et achat de minéraux français et cristaux du monde sur Internet  ▲

Messages recommandés

Posté(e)

Bonjour.

pour avancer, il y a la DRX

qui peut me dire ce que c'est le DRX, histoire de ne pas mourir idiot même si de toutes façon c'est rappé.

 

Toulouse n'est pas très loin de chez moi, si c'est faisable, j'en suis.

Que manque-t-il pour que çà ce face?

 

Je peux proposer plus facilement de regarder moi-même la lame mince avec mon propre micro polarisant, et de la renvoyer ensuite.

Dés que j'ai votre adresse sur MP je vous l'expédie la bégénat , souhaitez-vous ma lame mince de mon cru aussi?

j'y joindrais un morceau d'échantillon.  

 

une lame mince de chondrite ordinaire.

Peut-on avoir quelques une de vos photos, des différents chondres et la classe à laquelle elle appartient?

je répertorie aussi la configuration des chondres (voir géoforum météorites). 

 

 

Posté(e)

 DRX = Diffraction des Rayons X : méthode qui permet d'analyser le réseau cristallin des minéraux.

On travaille sur poudre (roche broyée) posée sur une lame que l'on fait tourner face à un faisceau X de longueur d'onde fixe. Sur un collecteur qui tourne autour du même axe, mais à une vitesse angulaire double, on enregistre un spectre de raies correspondant à des angles de diffraction, qui sont reliees simplement aux distances entre plans interatomiques des cristaux. Chaque minéral a un spectre de raies qui lui est propre. C'est compliqué pour les solutions solides. Les amorphes (verres, minéraux amorphisés) ne donnent pas de réponse.

 

Pour la chondrite, je n'ai pas de photo, pas (encore) équipé, et je ne sais pas de quelle classe elle est. Échantillon récupéré par des collègues en mission australe, ils avaient gentiment proposé de faire plusieurs lames minces dans leur caillou...

Posté(e)

Diffraction des Rayons X

ah là çà me parle j'ai eu pratiqué en stage, (fluorescence X?) 

c'était sur une zéolite j'hésitais entre scolécite et natrolite après de longues manipes et calculs,

le résultat est tombé scolécite ou natrolite c'est çà aussi la technique.

 

pour les photos je peux vous aider à vous équiper pour un montant dérisoire sur le net, vu que vous avez le microscope.   

et une facilité d'utilisation déconcertante. 

Posté(e)
Il y a 1 heure, zéolite a dit :

(fluorescence X?) 

fluorescence X, c'est très différent. C'est une technique d'analyse chimique.

On utilise aussi des rayons X pour bombarder la préparation (pastille pressée ou perle), mais cette fois on analyse les rayons X secondaires réémis par l’échantillon.

Ces derniers dépendent du contenu chimique, pas du contenu cristallographique de l'échantillon.

Par exemple, on aura la même réponse pour calcite et aragonite, pour quartz/tridymite/cristobalite, alors qu'en DRX on va les distinguer les uns des autres.

 

Posté(e)

Merci pour ces précisions et rappels fortes utiles.

ce devais bien être fluorescencecar on avais récupérer un film avec plein de raie à interpréter,

donc plus qualitatif. 

 

pour l'échantillon peut-on préciser les demandes au MEB et ...

JJNOM ou PHOSCORITE vous êtes surement plus pointu sur le sujet pour prendre contact avec Toulouse?

quid de visualiser les lames ou lame au microscope JJNOM est-il intéressé? 

 

Posté(e)
Il y a 2 heures, jjnom a dit :

Oui, bien sur. Mais suite à l'incendie de mon domicile, le microscope est au garde-meubles encore pour plusieurs mois.

Bonjour,

Pas de souci je serais être patient il faudra me le rappeler sur MP.

  • 2 mois après...
Posté(e)

Bonsoir a tous

 

Je reprends la description de cet échantillon, @zéolite ayant eu l'amabilité de m'envoyer la lame mince :

Petit rappel : roche de provenance inconnue (marocaine ?, vendue comme météorite).

Les indications chimiques (flash XRF) indiquent que c'est très riche en Fe, et un peu en Ti.

Voici la section avant lame mince :

1496619231_Face-a-colle.thumb.JPG.bae3c11e1a2e32e1aa5f554b5592dc8a.JPG

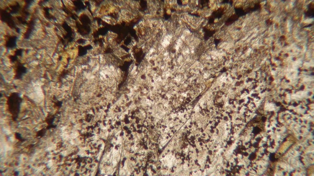
On voit des phenocristaux (millimetriques) de deux types, un clair (feldspath) et un sombre (ferromagnesien) qui sont souvent regroupes en petits amas.

On voit aussi un globule (xenolithe) constitué de formes blanches enchevetrees, et tout ça baigne dans une matrice micrognenue fine.

L'aspect général est celui d'une roche microgrenue, mais il ne subsiste presque rien de la paragenese magmatique primaire, tout étant très altéré en chlorite, carbonate, peut-etre sericite.

 

Parmi les phenocristaux, les clairs sont les plus faciles a identifier,car il subsiste (en cherchant bien) quelques reliques :

20211204-153956-284.thumb.jpg.e7aef2c82a18d222688d4b159fcc8d61.jpg

20211204-154040-536.thumb.jpg.612176efc4341262b1efd44b5568f780.jpg

C'est un plagio, bien sur. Comme la section est presque perpendiculaire au plan de macle de l'albite, l'angle d'extinction fournit une valeur minimum du contenu en An : 30°, ça donnerait An > 45 pour un plagio ordonné (plutonique) et An > 55 pour un plagio désordonné.

Les autres phénocristaux de feldspath sont presque complètement remplaces par des produits fins difficiles a caractériser (sericite, saussurite, chlorite, carbonate)

 

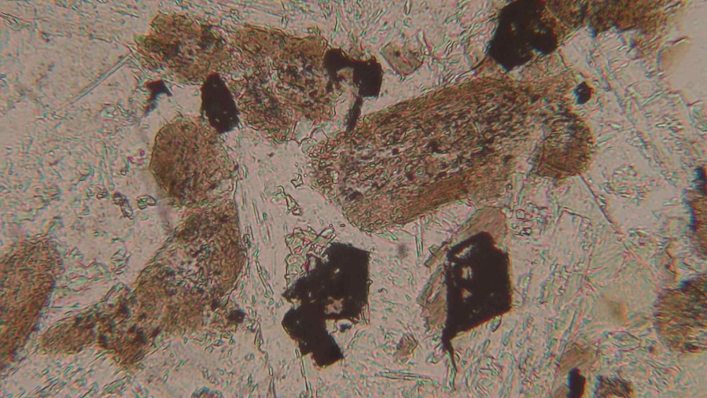
Pour les phénocristaux ferromagnésiens (taches sombres sur la vue generale),  il n'y a aucune relique du mineral d'origine, et on ne dispose que de la morphologie et de la nature des produits d'altération pour imaginer ce que c'était initialement :

20211203-200136-093.thumb.jpg.4ed02363cf5f2e4b9a01a58f674c4373.jpg

20211203-200222-766.thumb.jpg.17c8f4683aa5d06f88cff50ddd042938.jpg

20211130-184434-670.thumb.jpg.f5d085a9d673d2f13e22915604709351.jpg

20211130-184439-666.thumb.jpg.569df35b628f0e0fb3f03eacdc84fa3d.jpg

 

Parmi les produits d'altération on trouve du carbonate (on voit le rhomboèdre sur l’avant-dernière vue) et des produits phylliteux de deux types, avec un arrangement zonal : en bordure des anciens phénocristaux, c'est, je crois, une chlorite magnésienne (pléochroïsme vert très clair, extinction droite, teintes de polarisation anormales). Dans le cœur, ce serait plutôt une serpentine (pas de pléochroïsme même si c'est jaune en LPNA, extinction droite, teintes de polarisation tres basses).

Cette zonation des produits d'altération est systématique, tous les cristaux sont zonés, mais avec des proportions variables des minéraux secondaires).

20211203-204722-841.thumb.jpg.47c1ff7d8d371f0933e326d9aa230f05.jpg

20211203-204736-721.thumb.jpg.7955c03fd369af39aeeb99a04893bdb8.jpg

 

Au total, ces phénocristaux pourraient bien être d'anciennes olivines. Je ne peux pas exclure que ce soient d'anciens clinopyroxènes, voire des amphiboles.

 

Je passe a la trame microgrenue dans le prochain message.

Posté(e)
Il y a 15 heures, phoscorite a dit :

C'est un plagio, bien sur. Comme la section est presque perpendiculaire au plan de macle de l'albite, l'angle d'extinction fournit une valeur minimum du contenu en An : 30°, ça donnerait An > 45 pour un plagio ordonné (plutonique) et An > 55 pour un plagio désordonné.

Ca restreint pas mal le champ des possibles. Ca paut expliquer aussi la calcite et l'effervescence à l'acide. Mais ça met à mal l'analyse chimique par XRF pour ce qui est du Ca.

Posté(e)
il y a 13 minutes, jjnom a dit :

Ca paut expliquer aussi la calcite et l'effervescence à l'acide. Mais ça met à mal l'analyse chimique par XRF pour ce qui est du Ca.

Pas tellement. C'est vrai que pour une roche fraiche on s'attendrait a une teneur en CaO bien plus élevée (typiquement CaO>=2*MgO).

Mais c'est altéré. La calcite formée sur les phénocristaux ferromagnésiens, c'est assez peu de chose en volume.

Pour les phénocristaux de plagio, la plupart sont complètement altérés et les produits d'altération ne sont pas forcement très calciques. Je ne sais pas faire la part de l'argile, séricite et/ou saussurite la-dedans. Ci-dessous, l'altération se propage le long de fractures, et ça fait plutôt penser a une argilisation.

20211204-153030-168.thumb.jpg.6cdc1e5d9ed1c68c5d8cda38cd955dbe.jpg

20211204-153041-495.thumb.jpg.6131e33eb7332ceecef2f969f61fed03.jpg

 

Pour les microlithes de plagio qui se trouvent dans la trame, très altérés eux aussi, je ne peux pas évaluer la basicité directement, et compte tenu de l'abondance de la chlorite un peu partout, il est bien possible que la composition actuelle de ce qu'il en reste soit plus proche de l'albite.

 

20211204-155420-696.thumb.jpg.aa3a7a2b8a319a88a53efe755322d654.jpg

20211204-155432-237.thumb.jpg.7cd7ae12a7059b93bbaa420149b76a2d.jpg

 

Posté(e)

Rebonjour

Je poursuis avec la description de la matrice, dont vous avez un échantillon dans la réponse qui précède, et une vue plus large (3 mm) ci-après

20211130-183314-645.thumb.jpg.250aedced719c2fc646796670da881e8.jpg

20211130-183350-351.thumb.jpg.0c272a501d99e5e143ca52a5810257ae.jpg

 

Sur une trame de fond qui a l'air majoritairement feldspathique (grise en LPA) quoique pleine de produits d'altération, on distingue trois familles de microcristaux :

- des opaques en aiguilles

- des opaques trapus avec des formes souvent losangiques

- des microcristaux bruns, très chagrinés, dans lesquels on voit très rarement des teintes de polarisation : la plupart du temps, c'est sombre ou la polarisation est masquée par la couleur.

 

Un examen très rapide (sans photo malheureusement) au microscope métallographique indique que les opaques en aiguilles sont plutôt des oxydes (ilménite ?)

et que les opaques losangiques sont plutôt des sulfures (pouvoir réflecteur bien plus élevé et couleurs plus chaudes). Je crois pour ma part que c'est de la pyrrhotite, bien que ce qui en reste soit extrêmement mité : il n'y a pas de plages propres sur lesquelles on verrait bien la couleur et l'anisotropie.

 

Pour les microcristaux bruns, c'est compliqué. Il n'y a pas, ou si peu, de relique du minéral primaire. Les formes sont un peu allongées, parfois des bâtonnets, parfois losangiques. On voit assez souvent qu'une partie de ces cristaux fantômes est occupée (remplacé par) de la biotite (qui polarise), comme ici :

20211130-175436-728.thumb.jpg.de33ce43e1faad5356a5a9c664f673a2.jpg

20211130-175544-148.thumb.jpg.a5c2a189e73b5ba8b0017c2c5a776811.jpg

 

Mais on voit aussi la biotite, apparemment assez fraiche, coexister à coté des microcristaux bruns ;

et dans ce cas, on a l'impression qu'elle fait plutôt partie des phases tardives (interstitielles) avec des formes plutôt "flaky" (en lame de couteau)

 

20211130-182428-932.thumb.jpg.0420adf6f29220c65a35f1cf8278eab7.jpg

20211130-182529-096.thumb.jpg.7550974c4a5079a26900efab0bbe97be.jpg

20211203-193642-449.thumb.jpg.811a9235f80dbd9c088a3e5cb8561370.jpg

20211203-193827-914.thumb.jpg.b1eb46ed47e56b1fdb9df44c465fac85.jpg

 

Bref, les microcristaux bruns chagrinés me font penser a d'anciennes amphiboles (hornblendes) qui auraient subi une altération dont je ne sais pas identifier le type (peut-être une hématisation). Le statut (magmatique ou post-magmatique) de la biotite est difficile a préciser.

 

Je mets enfin des photos de la trame de fond (a priori ce qui correspondrait au verre entre les micocristaux) : on y voit du feldspath (éventuellement potassique) avec une foule d'inclusions aciculaires que je ne sais pas identifier (trop fin), et pas mal de chlorite.

20211204-155555-413.thumb.jpg.35cec19fe61caa2945eaab861b071d8d.jpg

20211204-155606-547.thumb.jpg.e0bb2a83403aec692aca006a15692f34.jpg

20211205-122047-238.thumb.jpg.53345d74633dc8f64a992a026e96a35b.jpg

20211205-122059-613.thumb.jpg.a58245e58202ea6613ac36bcdd0a1cda.jpg

Posté(e)

Bonjour.

Chapeau pour les photos pas sombre du tout en LPA!

Les inclusions aciculaires ont un fort relief est-ce la signature d'un indice de réfraction très marqué?

on y voit aussi des bourgeons (ci-joint) est-ce le début d'une dendritisation ?

superbe exposé.

je ne saisi pas les subtilités sur Ca versus calcite et ? peut-on préciser?

Merci.0211204-155555b.thumb.jpg.8b8d1f45a2fb7bc6a861a66570cb0af0.jpg

Posté(e)
Il y a 16 heures, zéolite a dit :

Les inclusions aciculaires ont un fort relief est-ce la signature d'un indice de réfraction très marqué?

Peut-être, mais pas sur.

En fait, les aiguilles ne font pas l'épaisseur de la lame, donc la méthode de la frange de Becke pour juger des différences d'indices n'est pas très fiable dans ce cas.

De plus, le minéral hôte est probablement un feldspath alcalin, peut-être potassique, et il a déjà un indice très bas, donc a peu près n'importe quoi va paraitre "en relief" par rapport à ce substrat particulier.

Les aiguilles sont trop fines pour que l'on puisse apprécier leurs teintes propres de polarisation. Je me suis demandé si ça pouvait être une zéolite.

Ce qui est assez troublant, c'est qu'on a l'impression qu'elles sont englobées par le feldspath, pas que c'est une altération du feldspath.

 

 

Il y a 16 heures, zéolite a dit :

je ne saisi pas les subtilités sur Ca versus calcite et ? peut-on préciser?

@jjnom faisait remarquer qu'il n'y avait pas beaucoup de CaO dans l'analyse et il avait raison. Un magma basique (capable de cristalliser de l'olivine et un plagio basique) doit nécessairement être très calcique au départ. Une règle du pouce (de géochimiste) est que dans un magma basique, on a une relation grossière entre le contenu en CaO et celui en MgO, dans laquelle le rapport est à peu près constant : CaO/MgO entre 2 et 3 (sauf dans les basaltes très primitifs et dans les cumulats). Donc, dans ce caillou, il manque beaucoup de CaO d’après l'analyse.

Pour moi, c'est cohérent avec l'idée d'une roche très altérée dans laquelle une grande partie du CaO primaire a été lessivé. Les minéraux primaires porteurs de CaO étaient (probablement) le plagioclase et l'amphibole. Ils sont tous les deux très altérés, et la formation de calcite secondaire n'est pas assez massive pour compenser la perte en CaO qui résulte de cette altération.

 

Invité jean francois06
Posté(e)
il y a 35 minutes, phoscorite a dit :

 

 

 

@jjnom faisait remarquer qu'il n'y avait pas beaucoup de CaO dans l'analyse et il avait raison.

 

J'ai sans doute pas tout suivi, mais où est l'analyse? Merci d'avance.

Posté(e)
il y a 17 minutes, jean francois06 a dit :

J'ai sans doute pas tout suivi, mais où est l'analyse?

Normal, c'est un post a tiroirs, avec des parties sur un sujet "shergottite ou pas"

 

L'analyse issue d'un flash XRF, une fois recalculée en oxydes (avec des valeurs arbitraires pour boucher les trous) donne ceci :

SiO2 TiO2 Al2O3 Fe2O3 MnO MgO CaO K2O
57.6 2.1 16.8 12.4 0.0 5.2 1.6 0.9
               
               
             
               
             
               

 

Posté(e)

On pourrait savoir sur quoi a été fait le test en fluo X? Surface naturelle, section, roche broyée?

Il n'y a eu qu'un seul flash réalisé?

Les éléments qui  se contredisent, ça énerve. 

Phoscorite nous sort un plagio qui pointe du côté des labradors. On court vers le basique surtout que K2O est à 0,9 et qu'il y a de la calcite. Mais CaO est à 1,6 et SiO2 à 57. Pourtant, Mg et Ti ...

et si on dit roche altérée pour expliquer le taux de Ca, le Si original devait être au-dessus de 57... (Ca et Si font partie des éléments les + facilement lessivés).

 

Posté(e)
il y a une heure, jjnom a dit :

Ca et Si font partie des éléments les + facilement lessivés

Pour Ca, je plussoie, pour Si, pas d'accord, ou tout au moins pas général. Quand au plagio basique, ça reste une observation isolée.

Je ne vois pas bien ce qui serait contradictoire. A l'exception de cette relique de plagio basique, la paragenèse actuelle ne peut pas être magmatique.

J'ai même le doute pour la biotite, qui a l'air très fraiche alors que c'est plein de chlorite. Malheureusement, je ne sais pas interpréter ce que cette roche a subi comme altération(s).

Posté(e)

En premier merci phoscorite pour c'est éclaircissements (aiguilles et Ca).

ce que je remarque aussi, c'est un contraste entre une altération indiscutable prononcé en micro,

et cette fraicheur nette en macro, je me serais plus attendu à un échantillon friable cassant,

parce que je compare avec des olivines serpentinisé du Tarn friables.  

mon échantillon à pris cher chloritisassions, argilisation saussuritisation,

ces altérations ce font-elles à volume constant?

Posté(e)
à l’instant, zéolite a dit :

ces altérations ce font-elles à volume constant?

Pour ce qu'on en sait, c'est le cas la plupart du temps. Mais c'est un vieux débat... et un sujet difficile.

Mais c'est vrai que pour une argilisation un peu généralisée, on s'attend a trouver un caillou "mou" dans lequel le marteau fait "pouf". Ce n'est pas le cas ici.

 

L'une des difficultés avec ce qu'on voit en lame mince, c'est l'impression d'avoir des relations temporelles anormales entre des paragenèses qui sont secondaires.

Si c'est bien de l'olivine, on a la serpentinisation qui est plutôt une transformation de basse température, et peut-être aussi l'altération (oxydation) des amphiboles, qui font penser a de l'altération dans un environnement en surface.

Et ensuite (?) on a cette biotite et la chlorite qui ont l'air secondaires aussi, mais pas de la même génération, et probablement plus chaudes (une biotite hydrothermale, c'est 400°C au moins). Par exemple, ci-dessous, c'est de la biotite qui se forme sur la bordure du phénocristal ferromagnésien, et c'est aussi de la biotite dans le cœur de la veinule qui le traverse, ou elle est entourée d'une petite gaine de chlorite.

20211203-203750-208.thumb.jpg.54f60adbba9721c333d5e26c063f3add.jpg

20211203-203823-041.thumb.jpg.2b09bc2132942a3fba9dc06f716c47bd.jpg

 

Ces biotites n'ont pas vraiment l'air magmatiques, et ne sont pas chloritisées.

Je soupçonne un épisode hydrothermal relativement chaud, lié à une intrusion mise en place après le refroidissement de la première (filon ou pas), et une première altération de surface. Dans ce cas, ça ne donne pas un caillou "mou".

Posté(e)

Waouh encore de superbes photos,

il va me falloir un peu de temps pour bien digérer toutes ces infos,

un grand merci.

mais du coup des relations temporelles anormales, est-ce une forme de datation qui montre l'étalement de péripéties orogénique,

sur un socle ancien?  

Posté(e)
Il y a 11 heures, zéolite a dit :

mais du coup des relations temporelles anormales, est-ce une forme de datation qui montre l'étalement de péripéties orogénique,

D'abord, ce n'est qu'un scenario que j'ai envisagé faute de mieux. Ensuite, le timing relatif des altérations est toujours discutable, sur une seule lame mince et sans avoir accès aux relations géométriques macroscopiques entre roches altérées et roches fraiches.

Enfin, on doit pouvoir obtenir une superposition d’événements thermiques dans une même fenêtre temporelle avec des intrusions / épanchements multiples.

 

Posté(e)

On en arrive maintenant a la forme globuleuse, cet espèce de xénolithe arrondi qui avait suscité les premières interrogations.

La revoici en Lumiere Reflechie, reprise du post d'origine :

ZFC.JPG.f43111950fbcbd8baa559274c562a5cf.thumb.JPG.72577afa4688c10a2f644a985ce3efe8.JPG

 

Dans cette structure, on distingue un enchevêtrement de bâtonnets, avec des formes externes automorphes de feldspaths (comme un cumulat)

mais avec des dimensions un peu différentes de celles des phénocristaux de plagioclase dans le reste de la roche : plus trapus, moins allongés.

20211204-180326-679.thumb.jpg.d3314bfe347aabe4d96fadb403512d69.jpg

20211204-180438-445.thumb.jpg.cee57514a1e7b8ef5768f93e0a33338e.jpg

 

Ces bâtonnets contiennent une famille de petites inclusions brunes assez remarquables (régulièrement distribuées, avec des formes cristallines très émoussées) et sont presque complétement remplacés par un minéral fin en feuillets dont les propriétés optiques sont similaires a celles de la muscovite (incolore, clivage fin, teintes de polarisation du 3°ordre, extinction droite et allongement positif).

20211204-181646-475.thumb.jpg.2d86e949fef50e9931142d015555c617.jpg

20211204-181752-529.thumb.jpg.2c3f0202d7c39142fb16e4eb31b4654e.jpg

 

20211204-181437-349.thumb.jpg.4e46eb9d81db9520ff36cbc355966a3e.jpg

20211204-181449-612.thumb.jpg.78108623a2d8d42a6d43f7863195a6bf.jpg

 

20211204-183502-730.thumb.jpg.84d2c688cb43abd75fbaaf336ed07215.jpg

20211204-183515-287.thumb.jpg.e50e27a7b6e7dd9e4618a756e07dba44.jpg

 

Dans les interstices entre ces bâtonnets, on retrouve une paragenèse similaire à celle de la matrice de la roche encaissante : biotite, chlorite, feldspath, petits opaques.

 

Un élément nouveau par rapport aux premières descriptions de la forme globuleuse est d'une part que les inclusions ont des formes cristallines, même émoussées, et d'autre part que leur aspect (brun, très chagriné, et blanc laiteux en lumière réfléchie) est très similaire à celui des petits prismes bruns dans la matrice de l'encaissant.

Les deux sont visibles et directement comparables sur cette vue de détail, en bordure de la forme globuleuse :

20211204-182849-811.thumb.jpg.bf7e062f6b43451952301fcda8074123.jpg

20211204-182915-472.thumb.jpg.35b63b6df6632c06e568c07f66e7257d.jpg

Ce qui incite a penser qu'il s'agissait initialement du même minéral (une amphibole je présume) qui a subi le même type de transformation (oxydation ?).

Pour ce qui est de la morphologie (inclusions émoussées) la seule idée qui me vienne à l'esprit est d'invoquer une résorption comme on en observe parfois dans des mélanges de magmas ; à discuter...

 

Pour l'altération des bâtonnets en produits phylliteux, de multiples interprétations minéralogiques sont possibles car il y a beaucoup de minéraux en feuillets ou en fibres qui partagent ces mêmes caractères optiques : plusieurs sortes de micas blancs (illite, muscovite, margarite...), des argiles, la pyrophyllite, et même le talc. Ça laisse du champ à beaucoup de scenarii...

 

Deux points assez troublants, cependant, pour lesquels je n'ai pas de "solution" toute prête :

- sur les bâtonnets de la forme globuleuse, la transformation en mica (ou autre ?) est pratiquement complète et ne contient QUE cette phase, ce qui est très différent de ce que l'on voit sur les phénocristaux de feldspaths dans l'encaissant et même sur les petits feldspaths de la trame.

- en bordure de la forme globuleuse, certains des bâtonnets altérés se prolongent en direction de la matrice encaissante (comme des surcroissances) :

20211204-180617-289.thumb.jpg.7c9a78c3bf87f09e7ecd4159957828a0.jpg

20211204-180653-320.thumb.jpg.85c98420b428da018390c69d36c6fb48.jpg

 

Ce qui me frappe, c'est que dans cette position particulière, ces excroissances ne contiennent pas les inclusions brunes émoussées ET ils elles sont beaucoup moins altérés que les parties qui se trouvent plus à l'intérieur du xénolithe :

20211204-180757-491.thumb.jpg.6a48404f88fa747015d951f3ebc28110.jpg

20211204-180829-823.thumb.jpg.52d5e4368613b6a6cc56ed2250fb87ce.jpg

 

Bref, encore et toujours des complications.

Posté(e)

Bonjour.

désolé de faire une digression temporairement je précise ,

je trouve aux bourgeonnements une nette ressemblance avec des inclusions que j'avais observé dans de l'olivine (ci-joint).

est-ce que la génèse est comparable? et pourquoi cette entorse à la cristallisations des systèmes standard?

Merci.

olivine-EE2-2.jpg

Posté(e)
il y a une heure, zéolite a dit :

je trouve aux bourgeonnements une nette ressemblance avec des inclusions que j'avais observé dans de l'olivine

Vous voulez dire des formes cristallines mais émoussées ?

Il me semble que c'est assez fréquent : par exemple des petites biotites incluses dans les quartz des leucogranites ont souvent cet aspect.

Rejoindre le sujet et participer

Pour poster un message, il faut créer un compte membre. Si vous avez un compte membre, connectez-vous maintenant pour publier dans ce sujet.

Invité
Répondre à ce sujet…

×   Collé en tant que texte enrichi.   Restaurer la mise en forme

  Seulement 75 émoticônes maximum sont autorisées.

×   Votre lien a été automatiquement intégré.   Afficher plutôt comme un lien

×   Votre contenu précédent a été rétabli.   Vider l’éditeur

×   Vous ne pouvez pas directement coller des images. Envoyez-les depuis votre ordinateur ou insérez-les depuis une URL.

×
×
  • Créer...